Property for Sale Public Notice
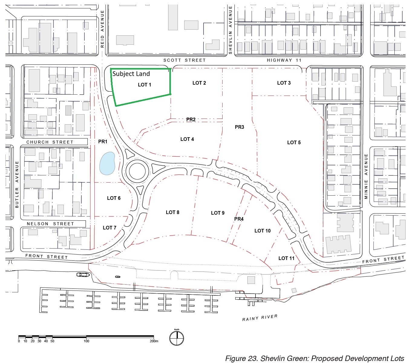
TAKE NOTICE that at its regular Council meeting on June 23, 2025, the Town of Fort Frances has declared part of the property legally described as MCIRVINE LOT 22-24 RIV RGE;PLAN SM43 BLK A & B & SM129;LOT 15 RP 48R3445 PTS 1-3;PCL 15-2, being Lot 1of the proposed subdivision plan which is shown on key map below, surplus to the needs of the municipality.
Additional information is available by contacting:
Jonathan Burrows CBO/Municipal Planner
(P) - 807- 274-5323 ext. 1216
(F) - 807-274-8479
Email – jburrows@fortfrances.ca
© 2025 The Town of Fort Frances